El circovirus porcino tipo 2 (PCV2) es el agente etiológico de varias enfermedades que pueden afectar a los cerdos en todas sus fases productivas; la enfermedad sistémica por PCV2 (PCV2-ES) y la infección subclínica por PCV2 (PCV2-IS) son las principales. Este grupo de patologías se conocen colectivamente como enfermedades asociadas a circovirus porcino (PCVD, del inglés porcine circovirus diseases). La gran variedad de patologías asociadas a este virus en combinación con su distribución mundial comporta un impacto económico relevante en la industria de la producción porcina. En este artículo se discutirán las propiedades del PCV2 y sus implicaciones sobre su patogenicidad, transmisión y persistencia.


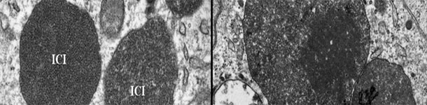
Microscopía electrónica de un linfonodo de un cerdo con PCV2-ES. Nótese la presencia de cuerpos de inclusión intracitoplasmáticos de PCV2 (CII); en algunas zonas, las partículas virales pueden disponerse en estructuras paracristalinas (recuadro de la imagen derecha). Foto cortesía de Carolina Rodríguez-Cariño, tesis doctoral.
PCV2 es un virus icosaédrico no envuelto, con una cadena de ADN simple circular de 1,76-1,77 kb que pertenece al género Circovirus de la familia Circoviridae. Su tamaño es de unos 12-23 nm de diámetro, siendo el virus más pequeño que afecta a mamíferos. El genoma del PCV2 está formado por 11 marcos de lectura abiertos (ORFs, del inglés open reading frame) putativos, pero la expresión proteica sólo se ha descrito para ORF1 (gen Rep, que codifica para las enzimas replicasas, no estructurales, Rep y Rep’), ORF 2 (gen Cap, que codifica para la proteína de la cápside) y ORF 3 (que codifica para una proteína no estructural que induce la apoptosis en las células PK-15). La proteína de la cápside tiene propiedades inmunogenéticas, siendo capaz de inducir una respuesta humoral y celular efectiva, por lo que no es sorprendente que sea el elemento común en las vacunas comerciales frente a PCV2.
Los estudios filogenéticos han revelado un elevado porcentaje de identidad (>93%) entre cepas de PCV2. Pese a que varios estudios iniciales no consideraron significativas las diferencias entre aislados de PCV2, trabajos posteriores dividieron las cepas de PCV2 en dos grupos principales llamados genotipo "a" (PCV2a) y "b" (PCV2b). Posteriormente, un tercer genotipo (PCV2c) fue descrito retrospectivamente en cerdos daneses en los 80s. Finalmente se ha descrito un cuarto genotipo (PCV2d) en China, pese a que hoy en día se sabe que también está presente en otras partes del mundo. Bajo las circunstancias apropiadas PCV2a y PCV2b son capaces de reproducir experimentalmente PCV2-ES. Sin embargo, PCV2b ha sido relacionado más a menudo con la expresión de enfermedad, tanto en infecciones experimentales como en estudios epidemiológicos, donde el cambio de la predominancia del genotipo PCV2a por el PCV2b en los animales ha sido asociado con la aparición epidémica de PCV2-ES. Bajo estas circunstancias no es descartable la posibilidad de una infección concurrente con más de un genotipo a nivel de granja. Actualmente todas las vacunas comerciales frente a PCV2 se basan en PCV2a, aunque han demostrado resultados excelentes que evidencian una protección cruzada contra PCV2b. Yendo un paso más allá, las vacunas experimentales frente a PCV2b han demostrado unos resultados todavía mejores contra PCV2b que las de PCV2a, lo que sugiere que la protección homóloga es aparentemente más efectiva.
Las propiedades biológicas y fisicoquímicas de PCV2 todavía no han sido completamente caracterizadas.
El virus es muy resistente en el ambiente, mostrando también una gran resistencia a los tratamientos químicos y térmicos (tabla 1).
Tabla 1. Efecto de las condiciones ambientales y de los tratamientos térmicos y químicos sobre la infectividad de PCV2.
| Efecto sobre la infectividad de PCV2 | |
| pH |
|
| Tratamientos térmicos |
|
| Tratamientos químicos |
|
PCV2 es un virus específico para pocino que puede infectar a cerdos y jabalíes. Se ha investigado su capacidad para infectar a otras especies como bovinos, ovinos, caprinos, equinos, caninos, felinos, conejos, cobayas, aves de corral o humanos, sin mostrar susceptibilidad aparente. Otros estudios indican que PCV2 puede replicarse y transmitirse entre ratones; en este sentido, se ha sugerido un papel como huesped alternativo o vector mecánico para las ratas y ratones en las granjas porcinas, ya que se ha encontrado PCV2 en individuos de estas especies que viven dentro de granjas porcinas, pero no en los que viven fuera. Sin embargo, el papel de los ratones en la epidemiología total de PCV2 es probablemente pequeña. Se ha detectado PCV2 en todas las vías de excreción/secreción analizadas, estando presente en la cavidad nasal, tonsilas, bronquios, saliva, conjuntiva ocular, heces, orina, leche y semen. La transmisión suele suceder mediante la vía oronasal aunque la transplacentaria también es posible. Las cerdas mantienen la infección en las granjas y, a partir de ellas, se infectan los lechones; estos pueden sufrir una infección de larga duración, con viremia hasta las 28 semanas. Viendo que PCV2 posee una alta resistencia ambiental y altas capacidades de transmisión, no es sorprendente que sea un virus persistente con una distribución ubicua, presente en prácticamente todas partes donde se crían cerdos.


